Loistavalla paikalla Saarniraiviossa tontti 3 243 m2. UUSI HINTA 549 000 euroa.
Mahdollista rakentaa erillistaloja, rakennusten lukumäärää ei ole rajoitettu.
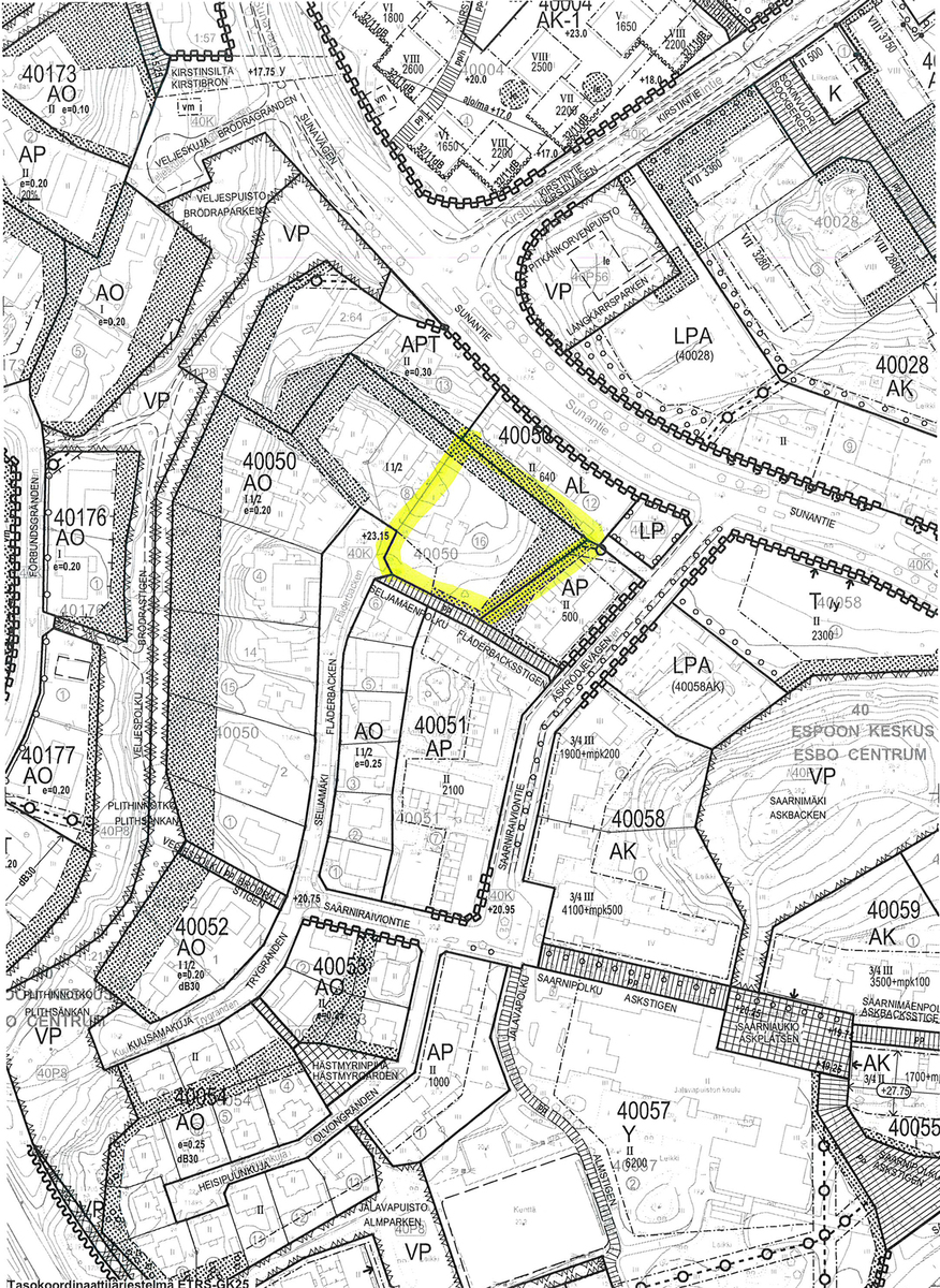
Rakennusoikeus e=0,2 yhteensä 649 m2 + 98 m2.
Vahvistettu asemakaava AO II: Erillispientalojen korttelialue.
Tontilla sijaitsee 1961 valmistuneet purettava asuinrakennus 86 m2.
Ostaja vastaa purkukustannuksista.
Vesi- ja viemäriliittymä sekä sähköliittymä siirretään ostajalle.
Kohteen tiedot voit tilata sähköpostilla: myyntiesite, alustavat maaperätiedot, tonttikartta, kaavaote ja määräykset ym.
Voit käydä vapaasti tutustumassa kohteeseen paikan päällä.
Tiedustelut ja esitetilaukset voi sopia Jarkko Partanen 0500 409 631 tai jarkko.partanen@huoneistokeskus.fi
Asuntokauppaa jo 35 vuoden ja 4000 kaupan kokemuksella.
Tilaa ilmainen arviokäynti
Asunnonvaihto kannattaa aloittaa nykyisen asunnon hinnan arvioinnilla. Näin saat raamit uusille unelmillesi.
Perustiedot
| Kotiavain | 80459823 |
|---|---|
| Osoite | Seljamäki 16, 02770 Espoo |
| Tyyppi | Rivitalotontti |
| Vapautuminen | Heti |
Hinta ja kustannukset
| Myyntihinta | 549 000 € |
|---|---|
| Muut maksut | Tietoja kiinteistöverosta: 7810,13. Lisätietoja vastikkeista: Kiinteistövero on kokonaisuudessaan 7 810,13 euroa / 2023. Kiinteistövero sisältää maapohja sekä asuinrakennus ja talousrakennus. Varainsiirtovero 4 % kauppahinnasta (lainhuuto). |
Tontti ja kaavoitus
| Tontin omistus | Oma |
|---|---|
| Kiinteistötunnus | 49-40-50-16 |
| Tontin tyyppi | Rinnetontti |
| Tontin pinta-ala | 3 243 m² |
| Tie perille | Ei |
| Lisätietoja tontista | Alustavien määperätietojen mukaan. Rakennattavuusluokka 2: Normaalisti rakennettava. |
| Rakennusoikeuden pinta-ala | 649 |
| Tehokkuusluku | 0.2 |
| Lisätietoja rakennusoikeudesta | Rakennusoikeus yhteensä 649 m2. Asuntojen käyttöön tulevia varasto ja yhteistiloja enintään 98 m2. |
| Kaavoitustilanne | Asemakaava |
| Kaavoitustiedot | AO I 1/2 e=0,20. Erillispientalojen korttelialue: Kaavan merkitys rakennusoikeuden lisäksi alueelle saa rakentaa asuntojen käyttöön tulevia varastoja ja yhteistiloja kuitenkin enintään 15% merkitystä rakennusoikeudesta. Katso myös 1 §: Autopaikkoja on rakennettava vähintään seuraavasti. AO-tonteilla 2 autopaikkaa kutakin asuntoa kohti. |
| Rakennukset | Rakennus myydään purkukuntoisena. Ostaja vastaa purkukustannuksista sekä muista mahdollisesti tontilla olevan irtaimiston hävittämisestä sekä öljysäiliön hävittämisestä. Espoon kaupungin rakennus- ja huoneistorekisteriotteen mukaan. Rakennus on valmistunut 1964. Kantavat rakenteet betoni, paikalla tehty. Rakennuksen kerrosala 86 k-m2, huoneistoala 77 m2. Lupatunnukset: 49-1981-1295-C ja 49-1964-168-C. Rakennuslupatunnus 49-435-1-209-1 muutospäivä 2011-04-12. Myyjälle ei ole rakennuksesta tarkempaa tietoa. |
| Sähköliittymä siirtyy | Ei |
Palvelut ja liikenneyhteydet
| Päiväkodit | Alueella |
|---|---|
| Liikenneyhteydet | Bussit, juna-asema Tuomarila |






