Puimurikuja 1, LOHJA (Routio)

44 000 €
Velaton hinta 44 000 €
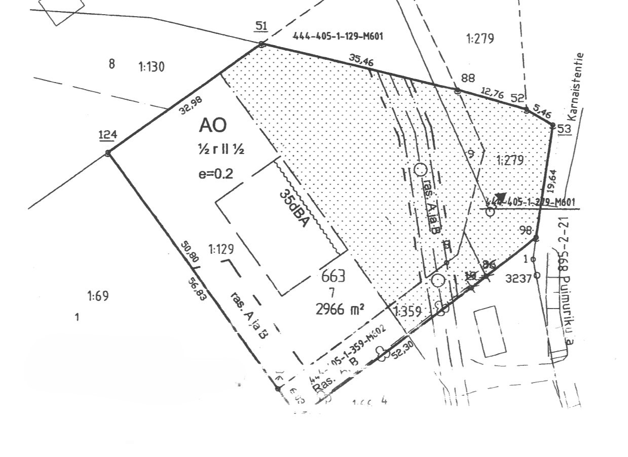
Tontin pinta-ala 2 966 m²
Tyyppi Omakotitalotontti
Kaupunki LOHJA
Kaupunginosa Routio

Puimurikuja 1:ssä Lohjalla sijaitsee upea rakennuspaikka, joka tarjoaa täydellisen mahdollisuuden toteuttaa unelmiesi omakotitalo. Tämä 2966 m²:n kokoinen tontti sijaitsee rauhallisella alueella, mutta silti lähellä kaupungin palveluita ja erinomaisia liikenneyhteyksiä. Rakennusoikeutta lähes 600 m2 !
Tontilta on vain muutaman minuutin matka Lohjan keskustaan ja moottoritielle, mikä tekee arjen liikkumisesta sujuvaa. Lähistöltä löytyvät myös Roution yhtenäiskoulu ja Jalavan erityiskoulu, joten lapsiperheille tämä sijainti on erityisen sopiva. Päiväkotikin sijaitsee myös kätevästi lähietäisyydellä.

Lähellä sijaitsevat uimarannat tarjoavat mahdollisuuden nauttia kesäpäivistä veden äärellä ja Lohjanjärven läheisyys tuo mukanaan kauniit maisemat. Tontin ympäristö on vehreä ja rauhallinen, mikä luo ihanteelliset puitteet perhe-elämälle ja esim. ulkoilulle.

Tartu tilaisuuteen ja suunnittele unelmiesi koti tälle uudelle tontille Lohjan kauniissa maisemissa!

Tilaa ilmainen arviokäynti​

Asunnonvaihto kannattaa aloittaa nykyisen asunnon hinnan arvioinnilla. Näin saat raamit uusille unelmillesi.​

Tilaa ilmainen arviokäynti​

Perustiedot

Kotiavain 80463848
Osoite Puimurikuja 1, 08350 LOHJA
Tyyppi Omakotitalotontti
Vapautuminen Heti

Hinta ja kustannukset

Myyntihinta 44 000 €
Kiinteistövero 1 429,46 € / vuosi

Tontti ja kaavoitus

Tontin omistus Oma
Kiinteistötunnus 444-22-663-7
Tontin tyyppi Tasamaatontti
Tontin pinta-ala 2 966 m²
Tie perille Kyllä
Lisätietoja tontista Tontti laskeutuu loivasti Hossantien suuntaan. Tontti on luonnontilainen; heinikkoa, iso koivu ja pensaikkoa. Maaperätutkimusta ei ole tehty. Tontilla on liitosvalmius kunnalliseen vesijohtoon ja viemärijohtoon.
Rakennusoikeuden pinta-ala 593.2
Tehokkuusluku 0.2
Kaavoitustilanne Asemakaava
Kaavoitustiedot Sitova tonttijako. AO 1/2 r II 1/2
Sähköliittymä siirtyy Ei

Palvelut ja liikenneyhteydet

Päiväkodit Roution avoin päiväkoti n. 2 km / n. 5 min.
Liikenneyhteydet Moottoritieliittymä n. 5 min ja Lohjan keskusta n. 6 min.

Muut lisätiedot

Muut kaupan kannalta merkittävät tiedot Lohjanjärven tuntumassa, erinomaiset liikenneyhteydet
832b09d1-10d9-4bb7-a6ca-e6f9ac5ddd56

Matti Kupari

Myyntipäällikkö, LKV. Kaupanvahvistaja Lohja, Länsi-Uusimaa +358 50 5688 431
Kenttä on validointitarkoituksiin ja tulee jättää koskemattomaksi.
Lähettämällä yhteydenottopyynnön hyväksyt tietojesi käsittelyn tietosuojaselosteessa esitellyllä tavalla.
Kiinnostuitko?

Ota yhteyttä välittäjään

Tilaa ilmainen arviokäynti​

Asunnonvaihto kannattaa aloittaa nykyisen asunnon hinnan arvioinnilla. Näin saat raamit uusille unelmillesi.​

Tilaa ilmainen arviokäynti​