Mahdollisuus tarjota myös puolikkaasta tontista!
Aurinkoiselta rinnetontilta erinomainen rakennuspaikka joko omakotitaloille tai tarvittaessa kolmelle asunnolle. Tontille saa rakentaa erillistalon, sekä kaksi asuntoa sisältävän kokonaisuuden, siten että tontilla on korkeintaan 3 asuntoa. Tontilla sijaitsevat nykyiset rakennukset myydään purettaviksi. Purkukustannuksista vastaa ostaja. Vesi-, viemäri- ja sähköliittymät siirtyvät kaupanteossa.
Erinomainen sijainti hienojen virkistysalueiden vierestä, jossa myös koulut ja lähipalvelut ovat lähietäisyydellä.
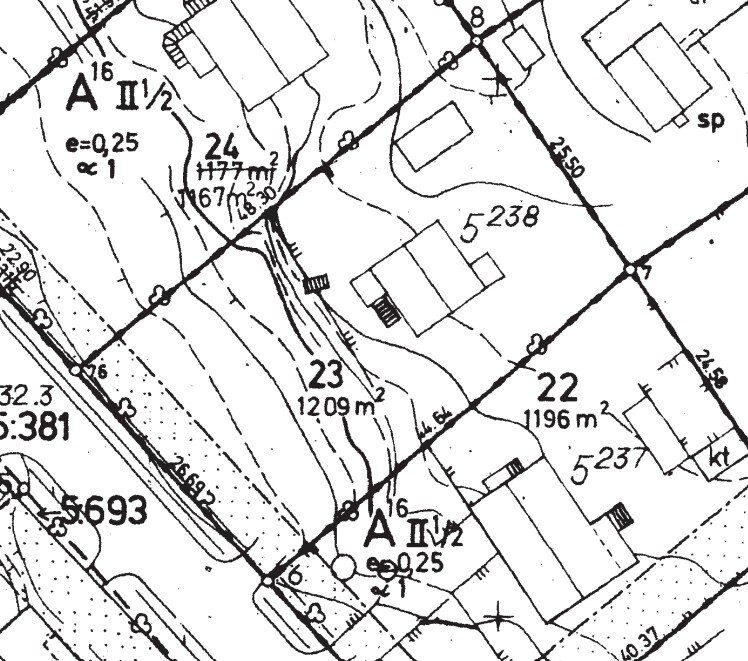
Hyväksytyn tonttijaon mukaisen tontin pinta-ala on 1209 m2. Tontin nykyinen tehokkuusluku on 0.25 oikeuttaa n. 303m2 rakennusoikeuteen. Tontinmuodostus- ja lohkomiskuluista vastaa ostaja.
Lisätiedot ja esittelyt järjestyvät joustavasti!
Tilaa ilmainen arviokäynti
Asunnonvaihto kannattaa aloittaa nykyisen asunnon hinnan arvioinnilla. Näin saat raamit uusille unelmillesi.
Perustiedot
| Kotiavain | 80461128 |
|---|---|
| Osoite | Leinikkitie 27, 01350 Vantaa |
| Tyyppi | Omakotitalotontti |
| Vapautuminen | Heti |
Hinta ja kustannukset
| Myyntihinta | 295 000 € |
|---|---|
| Muut maksut | Tietoja kiinteistöverosta: 910 e |
Tontti ja kaavoitus
| Tontin omistus | Oma |
|---|---|
| Kiinteistötunnus | 92-421-5-238 |
| Tontin tyyppi | Rinnetontti |
| Tontin pinta-ala | 1 215 m² |
| Tie perille | Ei |
| Lisätietoja tontista | Tilamuodossa. Hyväksytyn tonttijaon mukaisen tontin pinta-ala on 1209 m2. Tontin muodostamis- ja lohkomiskuluista vastaa ostaja. Tontilla sijaitsevat rakennukset myydään purettaviksi. Purkukustannuksista vastaa ostaja. Vesi-, viemäri- ja sähköliittymät siirtyvät kaupanteossa. |
| Tontin nimi | Juhala |
| Tehokkuusluku | 0.25 |
| Kaavoitustilanne | Asemakaava |
| Kaavoitustiedot | A 16, asuntorakennusten korttelialue. Tontille saa rakentaa olemassa olevan asuinrakennuksen lisäksi yhden asuinrakennuksen, siten että tontilla on korkeintaan 3 asuntoa. |
| Sähköliittymä siirtyy | Ei |
Muut lisätiedot
| Ranta | Ei rantaa |
|---|



