Keulatie 9, Helsinki (Vuosaari,Rastila)

155 000 €
Velaton hinta 155 000 €
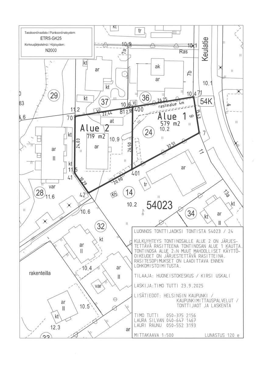
Tontin pinta-ala 579 m²
Tyyppi Omakotitalotontti
Kaupunki Helsinki
Kaupunginosa Vuosaari,Rastila

Rakenna perheellesi mieleinen talo viihtyisälle tasamaatontille suositulla omakotialueella! Lohkottava tontti 579 m2 (Alue 1) ja rakennusoikeutta 174 m2 (0,30), eikä tontilla ole purettavia rakennuksia. AP-Korttelialueelle saa rakentaa korkeintaan 2-kerroksisia taloja. Tonttia rasittaa 4 m kulkuväylä takatontille. Lapsille leikkialue kadun toisella puolen, hyvät liikenneyhteydet ja palvelut lähellä. Ostaja vastaa kaikista tontin lohkomiskustannuksista.

Sovi käynnistä välittäjän kanssa, itse tontille ei ole sallittua mennä ilman etukäteen sovittua ilmoitusta.

Tilaa ilmainen arviokäynti​

Asunnonvaihto kannattaa aloittaa nykyisen asunnon hinnan arvioinnilla. Näin saat raamit uusille unelmillesi.​

Tilaa ilmainen arviokäynti​

Perustiedot

Kotiavain 80460628
Osoite Keulatie 9, 00980 Helsinki
Tyyppi Omakotitalotontti
Vapautuminen Heti

Hinta ja kustannukset

Myyntihinta 155 000 €

Tontti ja kaavoitus

Tontin omistus Oma
Kiinteistötunnus 91-54-23-24
Tontin tyyppi Tasamaatontti
Tontin pinta-ala 579 m²
Tie perille Ei
Lisätietoja tontista Tyhjä tasamaatontti, määräalan ympärillä pensasaitaa ja takareunassa muutama kaadettava puu ja pensas. Maaperätutkimus ja maalämpöselvitys tehty. AP-korttelialueella: – On rakennuksen etäisyyden oltava vähintään 5 m tontin kadunpuoleisesta rajasta ja vähintään 4 m muista rajoista, ellei rakennusrajoin toisin osoiteta. – Rakennettaessa keskinäisellä sopimuksella, voidaan rakennukset sijoittaa kiinni rajaan. – Saa tontille rakentaa autokatoksia ja kylmiä autosuojia asemakaavakarttaan merkityn rakennusoikeuden lisäksi enintään 15% tontin kerrosalasta. – Saa tontille rakentaa kylmää varastotilaa asemakaavakarttaan merkityn rakennusoikeuden lisäksi enintään 7% tontin kerrosalasta.
Rakennusoikeuden pinta-ala 174
Tehokkuusluku 0.3
Lisätietoja rakennusoikeudesta Rajoittamaton huonemäärä
Kaavoitustilanne Asemakaava
Kaavoitustiedot Helsingin kaupunki, hel.fi
Rakennukset Tontilla ei ole purettavia rakennuksia.
Sähköliittymä siirtyy Ei

Palvelut ja liikenneyhteydet

Päiväkodit Alueella useita.
Liikenneyhteydet Metro Rastilasta (n. 900m, kävellen n. 12min), Bussi Kallvikintietä ja Rastilasta.
12e1c9d1-e8fa-48d6-88af-d9fc6c0eb277-1

Kirsi Uskali

Kiinteistönvälittäjä, LKV, LVV, KiAT Helsinki 040 620 9708
Kenttä on validointitarkoituksiin ja tulee jättää koskemattomaksi.
Lähettämällä yhteydenottopyynnön hyväksyt tietojesi käsittelyn tietosuojaselosteessa esitellyllä tavalla.
Kiinnostuitko?

Ota yhteyttä välittäjään

Tilaa ilmainen arviokäynti​

Asunnonvaihto kannattaa aloittaa nykyisen asunnon hinnan arvioinnilla. Näin saat raamit uusille unelmillesi.​

Tilaa ilmainen arviokäynti​